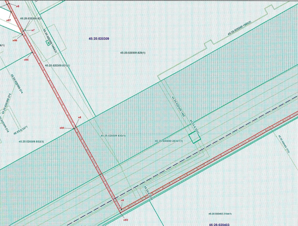
Департамент архитектуры, строительства и земельных отношений Администрации города Кургана информирует, что в связи с обращением АО «СУЭНКО» рассматривается ходатайство об установлении публичного сервитута с целью размещения «2КЛ-10 кВ от РТП-60 до БКТП-1154; 2КЛ-10 кВ от БКТП-1154 до БКТП-1155; БКТП-1154; БКТП-1155; 2КЛ-0,4 кВ от БКТП-1155 до ВРУ №1-0,4 кВ МКД №6 4 мкр-н; 2КЛ-0,4 кВ от БКТП-1155 до ВРУ №2-0,4 кВ МКД №6 4 мкр-н; 2КЛ-0,4 кВ от БКТП-1155 до ВРУ №3-0,4 кВ МКД №6 4 мкр-н; 2КЛ-0,4 кВ от БКТП-1155 до ВРУ №1-0,4 кВ МКД №7 4 мкр-н; 2КЛ-0,4 кВ от БКТП-1155 до ВРУ №2-0,4 кВ МКД №7 4 мкр-н; 2КЛ-0,4 кВ от БКТП-1155 до ВРУ №3-0,4 кВ МКД №7 4 мкр-н; 2КЛ-0,4 кВ от БКТП-1155 до ВРУ №1-0,4 кВ детского сада 4 мкр-н; 2КЛ-0,4 кВ от БКТП-1154 до ВРУ №1-0,4 кВ МКД №8 4 мкр-н; 2КЛ-0,4 кВ от БКТП-1154 до ВРУ №2-0,4 кВ МКД №8 4 мкр-н; 2КЛ-0,4 кВ от БКТП-1154 до ВРУ №3-0,4 кВ МКД №8 4 мкр-н; КЛ-0,4 кВ от БКТП-1154 до ВРУ №4-0,4 кВ нежилых помещений МКД №8 4 мкр-н; 2КЛ-0,4 кВ от БКТП-1154 до ВРУ №1-0,4 кВ МКД №9 4 мкр-н; 2КЛ-0,4 кВ от БКТП-1154 до ВРУ №2-0,4 кВ МКД №9 4 мкр-н; 2КЛ-0,4 кВ от БКТП-1154 до ВРУ №3-0,4 кВ МКД №9 4 мкр-н; КЛ-0,4 кВ от БКТП-1154 до ВРУ №4-0,4 кВ нежилых помещений МКД №9 4 мкр-н».
Описание местоположения публичного сервитута: 45:25:020309, 45:25:000000:28367, 45:25:000000:26692, 45:25:020309:830 (45:25:000000:28367), 45:25:020309:831, 45:25:020309:1469, 45:25:020403:3566, 45:25:020403:3568, 45:25:020403:3569, 45:25:020403:3570, 45:25:020403:3571, 45:25:020403:3573, 45:25:020403:3574, 45:25:020403:3575
Адрес, по которому заинтересованные лица могут ознакомиться с поступившим ходатайством об установлении публичного сервитута: г. Курган, ул. Пушкина, 83/1, каб. № 7, приёмные дни: вторник, с 9:00 до 12:00 часов, среда с 13:00 до 17:00 часов. Срок подачи заявлений об учете прав на земельные участки в течение 15 дней с момента опубликования

